Manna Gums are widespread on Mt Alexander, the basalt plains near Daylesford and Kyneton, in the wetter forests near Daylesford and Trentham, and along major streams southern streams.
They vary markedly in general appearnce. All have smooth-barked branches.
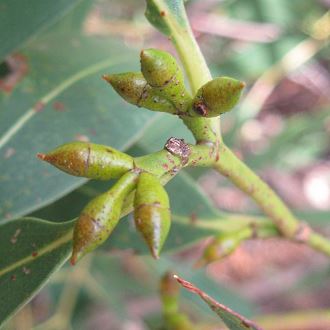
Mt Alexander form. Rough brown to black bark on the trunk. Buds and fruit in sometimes with more than 3 per cluster.
Basalt plains form. Thick dark to black bark on the trunk. Trees often wind-swept.
Forest for. Smooth barked to the base; erect tall trees.
River Form. Growth habit resembles River Red Gums. Can grow to a large spreading tree.
Recognise Manna Gums by:
It can sometimes be difficult to distinguish between Candlebarks and Manna Gums. Candlebarks differ in that its bark falls of in flakes,
and its juvenile leaves are bluish, round and in opposite pairs.
Alternative name: Ribbon Gum.





